Villa in Vendita a Bologna – Sirano

  • 245.000,00€
Via dei Ciclamini, Sirano, Marzabotto, Bologna, Italia
Vendita
Via dei Ciclamini, Sirano, Marzabotto, Bologna, Italia
  • 245.000,00€

Scheda immobile

Codice Immobile: SM245GT2
  • Villa
  • Tipologia Immobile
  • 2
  • Camere da letto
  • 2
  • Bagni
  • 1
  • Garage
  • 130
  • mq

Descrizione

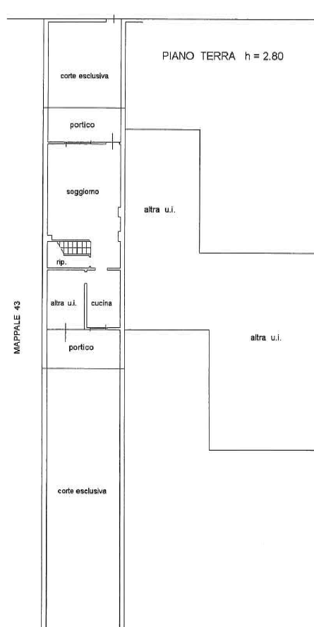
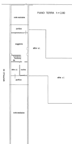
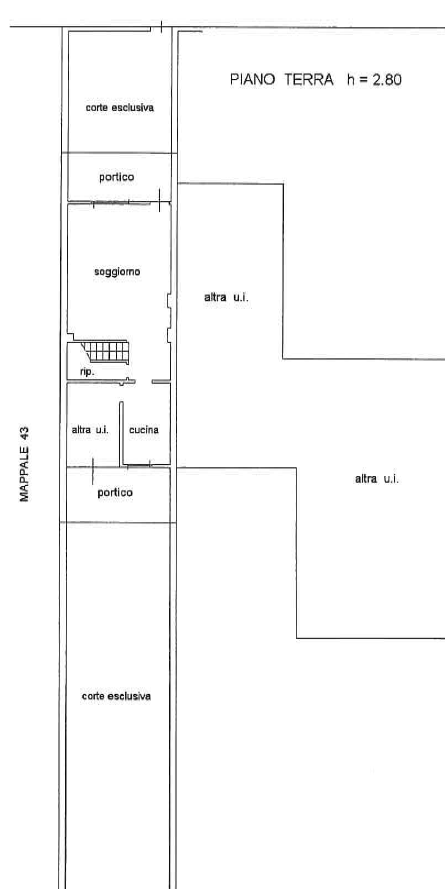
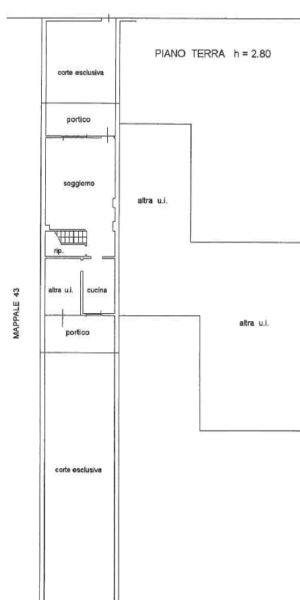
Sasso Marconi vicinanze, località Piccolo Paradiso vendesi villetta a schiera disposta su due livelli composta da:
– Piano Terra da soggiorno con ampia vetrata sul giardino e porticato, cucina e ripostiglio;
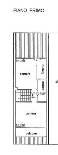
– Piano primo da camera matrimoniale con bagno, camera matrimoniale con terrazzo e altro bagno.
Completa la proprietà un’autorimessa e giardini esclusivi su due lati.
Riscaldamento autonomo.

RICHIESTA € 245.000

  • Indirizzo Via dei Ciclamini
  • Comune Marzabotto
  • Provincia Bologna
  • Zona Sirano

Dettagli

Aggiornato su Aprile 19, 2026 presso 4:15 am
  • Codice Immobile: SM245GT2
  • Prezzo: 245.000,00€
  • Dimensioni Immobile: 130 mq
  • Camere da letto: 2
  • Bagni: 2
  • Garage: 1
  • Tipologia Immobile: Villa
  • Contratto Immobile: Vendita

Dettagli Aggiuntivi

  • Certificazione: Classe F 254.23 kWh/m2anno
  • Consegna: A Rogito
  • Piano: nd di 2
  • Stato immobile: buono
  • Giardino privato: SI
  • Taverna: -
  • Cantina: -
  • Garage: SI
  • Posto auto: -
  • Anno costruzione:
  • Ascensore: -
  • Spese condominiale: 0 €
  • Terrazzi: 1
  • Sottotetto/Mansarda: -

Confronta gli annunci

Confronta
Gabriele Tonelli
  • Gabriele Tonelli